
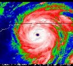
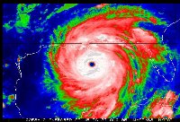
Der „Monstersturm“ Irene nähert sich der Ostküste Amerikas. Heute wird der Hurricane vermutlich bereits auf North Carolina treffen.
250.000 Menschen wurden in Sicherheit gebracht. Der Flugverkehr rund um New York wird zusammenbrechen, was sich auch auf den internationalen Flugverkehrs auswirken wird. Die Airlines geben stetig aktuelle Flugstandsinfos raus.
Der öffentliche Nahverkehr in New York wurde eingestellt und Atomkrftwerke, häfen, etc. rüsten sich für den Notfall. New Yorks Bürgermeister Bloomberg rechnet mit dem Schlimmsten. Irene entwickelt sich zum Jahrhundertsturm. Vermutlich am Sonntag wird „Irene“ New York erreichen – bis dahin zittern die US-Bürger dem Unbekannten entgegen.
Reisende sollten sich dringend mit ihrem Reisebüro, Airline in Verbindung setzen um aktuelle Infos über ihren Reiseverlauf zu bekommen.















New York ist kein New Orleans. Ich denke nicht, dass da viel passieren wird. Schlimmstenfalls steht die U-Bahn ein paar Tage unter Wasser.